family CERAMBYCIDAE Latreille, 1802
subfamily SPONDYLIDINAE Audinet-Serville, 1832
tribe Saphanini Gistel, 1848
genus Oxypleurus Mulsant, 1839
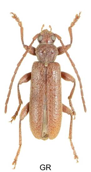
Oxypleurus nodieri Mulsant, 1839


Bionomie. Našel jsem tento druh v odumřelém dřevě po odření kůry starých živých borovic (Pinus).
GR Pinus


